Breskvu najčešće zaražava, a ujedno nanosi i najveću štetu, parazitna gljiva Taphrina deformans koja izaziva kovrdžavost listova. Radi zaštite od ove bolesti breskve se svakog proleća obavezno štite preparatima na bazi bakra, a prska se u fenofazi bubrenja i otvaranja pupoljaka. Ukoliko se u ovo vreme okiša, čim stane kiša voćke valja preventivno zaštititi bakarnim fungicidima, ne samo jednom, već u dva tri navrata sve do pred cvetanje.
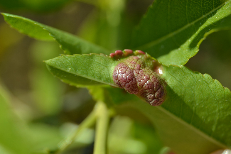
Prvi simptomi bolesti uočavaju se na kraju faze listanja breskve pojavom listova kovrdžavog i mehurastog izgleda koji su zadebljali, bledo-zelene boje s crvenkastim ivicama. Ovako deformisani listovi se suše, krhki su, lako se lome i otpadaju, tako da breskvama preti defolijacija već tokom maja ili juna. Ako i ostanu na voćkama, u takvim listovima je smanjen proces fotosinteze i nisu u mogućnosti da ishrane zametnute plodove koji otpadaju.
U godinama koje su povoljne za razvoj voćaka, ogoljene breskve počinju ponovo da listaju, iscrpljuju se, oslabljene ulaze u zimu i, ako ona bude hladna s puno mraznih dana, izmrzavaju.

Bitna je povezanost intenziteta pojave bolesti u fenofazi kretanja vegetacije breskve s učestalošću kiša u ovom periodu. Gljiva tafrina na gornjoj površini zaraženih listova stvara mehur koji predstavlja askuse sa askosporama, a koji krajem maja, u povoljnim kišnim uslovima, pucaju i askospore nošene vetrom dospevaju na koru stabala i grana. Micelija gljive na kori klija i održava se saprofitski , prezimljava i sledeće godine u povoljnim uslovima izbacuje kondidije koje nošene kišom zaražavaju mlade listove, i bolest kreće iznova. Ukoliko listovi očvrsnu i ne ostvari se takozvana primarna infekcija rano u proleće, kasnije zaraze nisu moguće.
Kada se ovo zna, nije teško breskvu pravovremeno zaštititi od kovrdžavosti lista. Stručnjaci preporučuju da to bude u dva navrata, kao kasno jesenje plavo prskanje tokom otpadanja listova, kada se suzbijaju i drugi uzročnici bolesti, a ujedno se smanjuje zaraza ovom gljivom u proleće. Drugi tretman je u rano proleće pre najavljenih kiša. Prvo prskanje obavlja se bakarnim preparatima dok su pupoljci potpuno zatvoreni, a drugo u fenofazi bubrenja pupoljaka. Moguće
je koristiti bakar-oksihlorid u koncetraciji 0,75 %, bakar-hidroksid 0,2 do 0,3 % ili bakar-sulfat 0,25 do 0,35 %.
Važno je da se voćke kvalitetno oprskaju, „okupaju“ uz povećan utrošak tečnosti. Čim počne cvetanje, fungicidi se više ne upotrebljavaju, jer su fitotoksični. Preventivno se koriste sredstva sa dobrom otpornošću na ispiranje kišom, zbog sigurnije i dugotrajnije zaštite. U ovom slučaju pre kiše koriste se fungicidi na bazi ditianona u koncetraciji 0,075 do 0,1 %, dodina 0,15 do 0,25 %, ili hlorotalonila 2,5 do 3,5 l/ha. Ukoliko preventivnu zaštitu ne obavimo pre kiša kako valja, šteta je nepopravljiva.
Piše: Svetlana Mujanović
Foto: 11299883 – Flickr
20 DŽEPNIH KNJIGA
Pred vama je svih 20 džepnih knjiga iz serijala „Moj voćnjak“, „Moj povrtnjak“, „Moj vinograd“ i „Moje cveće“. Knjige u formatu 16x12cm u punom koloru na 64 strane, lake za korišćenje i uvek pri ruci.
Moj voćnjak će vas upoznati kako da krenete i počnete da formirate svoj zasad, pripremite zemljište, odaberete voćnu vrstu.
Tu su i Jabuka, Višnja, Trešnja, Kruška, Borovnica, Jagoda, Malina, Leska, Šljiva, Kajsija, Ruža, Paradajz, Paprika, Krompir, Krastavac, Grašak, Pasulj, Lukovi i Vinograd.

0691154004
dobrojutro.redakcija@gmail.com